Cockroach Removal in Plant City & Brandon, FL
Cockroaches transmit disease organisms like bacteria which are responsible for food poisoning. They can be brought into the home in grocery bags and boxes, with the laundry, or wandering in from outside. Once there, cockroaches are prolific breeders producing several thousand offspring per year. Repulsive to most, cockroaches are the most common pests to infest homes, structures, and food service establishments. Second only to house dust, cockroaches are the cause of allergies in humans. Because cockroaches are rampant year round many are forced to seek professional help.
Sanitation is key for all cockroaches. Structural Modifications and Repairs may be necessary. Modifying the interior environment-removing food, moisture, and harborages available to cockroaches-is the first step in treatment. Eliminating cockroach harborages involves caulking in closets and cabinets, caulking under the sink, etc., or making similar structural repairs in the kitchen, bathroom, and other areas of the house. Have a good exterior treatment done on scheduled intervals every 3 months. At Safari Pest Control we can keep these pests away from your home and family with the best and safest methods and products available.
When the cockroach enters the home, it contaminates food and sometimes transmits diseases. To stop it from coming in from outside repair screens, check clearances around door frames and seal areas around the house where they may gain access. Repair any water leaks and ventilate moist areas to dry them out. Since the cockroach is attracted to moisture, remove rotting leaves or compost piles from the exterior of the house. Also keep trash cans away from the home.
Contact Us
We will get back to you as soon as possible.
Please try again later.

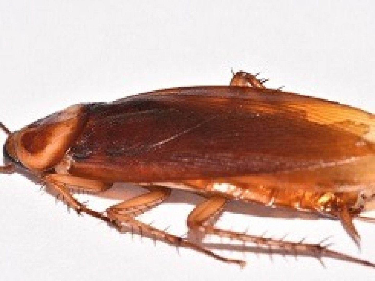
The American Cockroach
The American Cockroach is the largest of the species. It is also known as the Palmetto Bug or Waterbug.
The American Cockroach is reddish brown in color with a pale or yellow brown on the upper surface. They are about 1.5 to 2 inches long. The longest of the common species are winged but seldom fly.
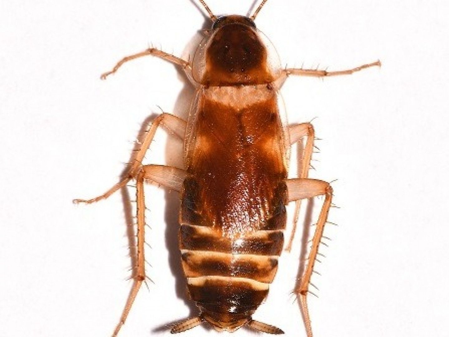
The Brown Banded Roach
The Brown Banded Roach is often confused with the German Cockroach, but it's habits are different. They are commonly found in the southern United States. They are often brought into dwellings on furniture. Once inside, they will quickly infest the place, doing damage to possessions, food, and creating health problems.
The Brown Banded Roach is rarely seen during the day and have been known to fly. They have two light colored bands across the wings and abdomen. These bands are quite noticeable, can appear to be broken or irregular.
The Brown Banded Roach does not require the same moisture resource as the German Cockroach, so are more commonly found on furniture, walls and ceilings. They are not as commonly found in the kitchen and bathrooms, but can be found near refrigerator motors and other major appliance that generate heat. They also like it behind pictures and in closets.

